Погода: −9 °C
21.12−29...−21переменная облачность, без осадков
22.12−19...−13пасмурно, небольшой снег
НГС.Форум /Домашние животные / Помощь животным /

Нужна финансовая помощь, котик предположительно после автотравмы .

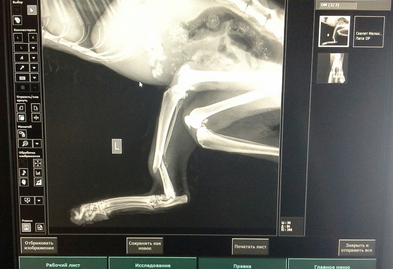
  • Создаю тему по просьбе Лены лесок. Сейчас она везет серьезно раненного котик из Искитима в город в Ветлекарь на стационар. У котика на лапе рваная рана и перелом ( по дороге Лена заезжала в истимимскую клинику и там это тоже предположил врач ) , котик диковат или просто в шоке и осмотреть его не смогли как следует . Еще со слов Лены котик как то хлюпает , то есть возможно у него еще и пневматорекс . Все подробно напишет сама Лена , у нее сейчас нет возможности выхода в интернет .
    Если возможно будет ждать, то оперировать лапу конечно будет Олег Анатольевич или же оперировать будут экстренно.
    Лене сейчас очень нужна финансовая помощь , у Лены очень много подопечных , обо всех она не пишет , но по моему у нее их сейчас с десяток .

    Топик закрыл(а) Sawfish (03.08.15 13:00)

  • К моему огромнейшему сожалению истории со счастливым концом уже не будет...
    Все произошло очень неожиданно - утром у котика остановилось дыхание :cray-1: Не смотря на все действия врачей, самостоятельно котик, так и не задышал. Около 30 минут врачи боролись за его жизнь. Причина пока не установлена. По данным полученным на первичном осмотре, ничего не предвещало такого исхода. На рентгене не было видно никаких повреждений легких. Не было одышки. Единственное, что насторожило меня - это кашель с хрипами, даже "булькающий" какой-то. Об этом я предупредила врачей. Но в клинике больше не повтарялось таких эпизодов. Мне предложили бесплатное вскрытие котика, для того чтобы разобраться с причиной остановки дыхания.
    Очень тяжело... Мне казалось, что все складывается самым удачным образом. Нам удалось среди ночи попасть на прием именно к Олегу Анатольевичу. Котика очень внимательно осмотрели. На рентгене был обнаружен перелом задней лапки. Сутки котика должны были понаблюдать и если все хорошо, то на вторник была назначена операция. Я оставила котика и уехала с легким сердцем и с полной уверенностью, что все у него теперь будет хорошо. Как же жаль малыша :cray-1: :cray-1: :cray-1:
    Не знаю зачем, но прикрепляю фотографии, которые собиралась выложить в теме.
    Беги по радуге, малыш! Как жаль, что я встретила тебя так поздно... Прости... :cray-1: :cray-1: :cray-1:

  • Лена, вы сделали для него все, что могли!

  • Лена, сочувствую...

  • Лена вы все сделали правильно и Вам не в чем себя упрекать, не вините себя.

    Увы так бывает, что кажется все стабильно и будет хорошо, а потом раз и вот такой конец :хммм:

    Котика очень жаль, мягкой ему травки :cray-1:

    Приймите соболезнования :роза: :роза:

  • :cray-1: :cray-1:

    Подпись неразборчива

  • Спасибо большое всем за поддержу, это очень ценно для меня! :heart:
    Я умом все понимаю, а вот на душе очень тяжело... Я вчера оставила его с легким сердцем и с полной уверенностью, что теперь все будет хорошо. Не было ни капли сомнений в благополучном исходе. Очень неожиданно для меня все произошло... Видимо нужно время, чтобы пережить очередную утрату. Вроде и не успела его еще узнать, а он уже стал важной частью моей жизни. Каждый из них забирает частичку моего сердца и навсегда остается в моей памяти. Каждый раз, в подобной ситуации, очень тяжело принимать поражение. Кажется, что это судьба, что наши пути пересеклись. Кажется, что не случайно именно в этот момент и именно в этом месте я оказалась. И теперь, когда помощь так близка, вдруг такой неожиданный поворот. Не поддается это моему пониманию...

  • Лена, они не только забирают частичку сердца, но и делают сердце больше.
    Ведь сотни людей проходят мимо несчастных, и только единицы не проходят.
    И одна из этих единиц Вы, человек с большим сердцем.

  • Так неожиданно и это самое больное((( Держитесь.

    Звери, живя вместе с нами, становятся ручными, а люди, общаясь друг с другом, становятся дикими. Гераклит Эфесский.

  • Лена, жаль, что котик не выжил ((

    Поступлений в тему не было?

    Предлагаю пока закрыть тему. Как только будут результаты вскрытия, жмите кнопку модераторам, откроем.

    Разумные люди всегда могут сделать жизнь лучше.

  • Поступлений не было. Заключение уже есть. К вечеру все сфотаграфирую и выложу. Не знаю, нужно ли выкладывать чеки? Все оплатила из собственных средств.

  • Я считаю, что не нужно чеки, но дождемся решения Комитета. А результаты вскрытия можете и так озвучить, не обязательно выкладывать сканы, только если сами хотите.

    Разумные люди всегда могут сделать жизнь лучше.

  • Письменного заключения вскрытия у меня нет (есть только выписка с диагнозом), поэтому, действительно, придется изложить все своими словами. Как я поняла, главными причинами смерти было спавшееся легкое и очень увеличенное сердце.
    Ателектаз легкого — это патологическое состояние, при котором целое легкое или его часть спадается (происходит сближение и сжатие стенок легкого, при этом воздух из данного участка выходит) и выключается из газообмена. Причин такого состояния множество и одной из них является травматические повреждения легких и бронхов. Возможно при автотравме у котика был не только перелом, но и было отбито легкое. Теперь, это конечно может быть лишь предположением, так как никто не знает что было с котиком ранее. Причина увеличенного сердечка: могла быть вражденная патология сердца, а возможно это следствие проблем с легкими и из-за общего ослабление организма. Котик был истощен и ослаблен, раны гноились и скорее всего уже была интаксикация всего организма.
    Видимо запоздали мы с обращением в клинику. Котик явно не один день "проходил" после полученных травм. Но при всем ослабление его организма, он очень отчаянно боролся с нами. Для того, чтобы его поймать, пришлось приложить определенные усилия. Скорее всего, для него это было большим стрессом. Очень жаль малышонка :cray-1: :cray-1: :cray-1:

Записей на странице:

Перейти в форум

Модератор: